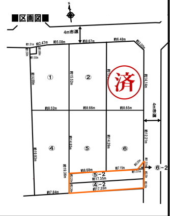
①区画 131.25㎡(39.70坪)
②区画 136.33㎡(41.23坪)
物件名 | さいたま市緑区三室 売地 最大約60坪の全6区画 2,480万円~ ※残り5区画 | ||
---|---|---|---|
所在地 | さいたま市緑区大字三室字大古里887番1 | ||
価格 | ①2,480万円 ②2,580万円 ④2,480万円 ⑤2,580万円 ⑥2,780万円 | ||
物件種別 | 土地 | ||
交通 | JR京浜東北線「北浦和」駅、(バス便)北浦和行9分「山崎」停歩8分 | ||
その他交通 | |||
土地面積 | 121.16㎡(36.65坪)~ | ||
建築条件 | 建築条件無し | ||
土地権利 | 所有権 | ||
用途地域 | 第一種低層住居専用地域 | ||
都市計画 | 市街化区域 | ||
地目 | 畑 | ||
建ぺい率/容積率 | 50%/100% | ||
接道状況 | 北側約4m公道、東側約4m公道 | ||
セットバック | |||
私道負担面積 | |||
現況 | 更地 | ||
引渡し時期 | 相談 | ||
国土法届出 | |||
設備 | 公営水道・公共下水・都市ガス※水道は売主にて引込済です。 | ||
備考 | |||
学区 | 三室小学校・三室中学校 | ||
取引態様 | 売主 | ||
管理番号 | |||
情報更新日 | 2025/09/30 | ||
次回更新予定日 |
さいたま市緑区大字三室字大古里887番1
土地
④区画 199.89㎡(60.46坪)
⑤区画 165.44㎡(50.04坪)
⑥区画 121.16㎡(36.65坪)
区画図です
周辺地図です
担当者:
資格:
白岡、久喜、蓮田、上尾で家を探すなら、白岡で創業23年のみどり土地建物へ♪
実績が違います。
内覧ご希望の方、お気軽にご連絡ください♪
お問合せやご予約も大歓迎です。
担当より詳しくご説明をさせていただきます。
※週末は来場が重なる場合がありますので、ご予約の方を優先にご案内しております。